Аренда производственного комплекса

Коммунар, Финляндская улица

4 500 000 ₽/мес

10 800 ₽ за м²/год

5 000 м²
Площадь
1
Этажность

Поделиться

Добавить в избранное

Колпинский район, пром. зона «Ижорские Заводы», ул. Финляндская, м. Купчино

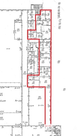
Аренда производственно-складского комплекса 5005 м2

Сдается в аренду современный производственно-складской комплекс с офисными помещениями. Просторные помещения общей площадью 5 005, 50 м2 для производственно-складских нужд и 494, 41 м2 для размещения офисов. Производственные зоны высотой потолков до 7 метров и обеспыленным бетонным полом. Объект полностью подготовлен для логистики: предусмотрена возможность заезда крупнотоннажного транспорта внутрь, установлены необходимые ворота, а вся территория охраняется и имеет два контрольно-пропускных пункта. Комплекс обеспечен всеми необходимыми инженерными коммуникациями. На объект уже проведено 400 кВт электроэнергии с возможностью увеличения мощности. Организовано холодное водоснабжение с существенным лимитом и возможность его повышения, а также хозяйственно-бытовая и ливневая канализация. Вся территория ограждена забором, оступ на территорию осуществляется через 2 КПП.

Ставка для производственно-складских помещений составляет 900 руб./кв. м в месяц, для офисных помещений — 750 руб./кв. м в месяц. НДС уплачивается дополнительно. Коммунальные услуги, включая электроснабжение, водоснабжение, водоотведение и отопление, рассчитываются и оплачиваются отдельно по фактическому потреблению.

Объект расположен в промышленной зоне «Ижорские Заводы» Колпинского района. Всего в нескольких минутах езды находятся ключевые магистрали: Софийская улица, Колпинское и Московское шоссе, а также удобные выезды на Кольцевую автодорогу. Развитие дорожной сети района является приоритетом для города, что гарантирует долгосрочную выгоду местоположения.

Цена 900 руб. за кв. м. с НДС + КУ

Консультант Андрей Салимов

П50

Код объекта: 20698

Дата обновления: 17 февраля 2026